Аллею на Московской назвали именем врача Игоря Ильиных
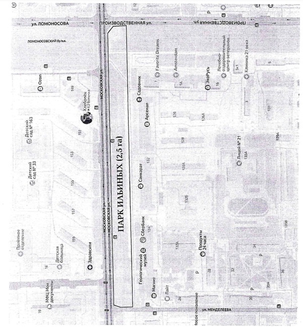
Речь об аллее от улицы Менделеева до улицы Производственной.
В Кирове на улице Московской появился парк, названный именем врача Игоря Ильиных.
В понедельник, 1 декабря, глава городской администрации Вячеслав Симаков подписал постановление о названии парка, расположенного вдоль улицы Московской, именем Ильиных. Речь об аллее, идущей от улицы Менделеева до улицы Производственной. Площадь парка составляет 2,5 гектара.
Сообщается, что Игорь Иванович Ильиных родился в 1948 году в Свердловской области. Начал работать терапевтом и главрачом студотрядов Кировской области. Затем трудился реаниматологом-кардиологом станции скорой медицинской помощи. В числе первых спасателей участвовал в ликвидации последствий землетрясения в Армении (в 1988 году). Затем возглавил реанимационное отделение для терапевтических больных в Кировской областной клинической больнице. Преподавал в Кировской медицинской академии и медицинском училище. Участвовал в работе Общества Красного креста. Избирался депутатом. Скоропостижно скончался в 2009 году.
Игорь Ильиных награждался знаком «Отличник здравоохранения» и многими наградами Правительства Кировской области и департамента здравоохранения.

{{news.title}}
{{news.summary}}
Комментарии
{{comment.name}}
{{comment.text}}
Комментарии